본문바로가기
주요메뉴바로가기
로그인
회원가입
새김소개
새김 소개
의료진 소개
진료시간/
오시는길
둘러보기
안면윤곽
광대수술
사각턱수술
앞턱수술
윤곽재수술
보형물
눈
쌍꺼풀성형
눈매교정
트임성형
눈재수술
눈밑성형
중년눈성형
코
콧대성형
코끝성형
(무보형물)
유형별코성형
콧볼축소
코재수술
3D 맞춤보형물
리프팅/동안
맥스브이리프팅
실리프팅
비절개스마스리프팅
시그니처지방이식
절개안면거상술
레이저리프팅
가슴
가슴확대
가슴축소술
유두성형
가슴재수술
체형
지방흡입
복부거상술
남자
남자성형
쁘띠
필러
윤곽주사(포인트주사)
기타
흉터성형
귀성형
스마스인중축소
이물질제거
안전사후케어
새김 안전시스템
안심 마취시스템
수술 후 프로그램
수술 후 주의사항
전후사진/후기
전후사진
리얼스토리
수술후기
커뮤니티
공지사항
언론보도
새김 TV
리얼모델신청
이벤트
상담예약
온라인상담
진료예약
비용문의
수술후상담
전화상담
카톡상담
온라인상담
오시는 길
전후사진
수술 전, 후 놀라운 변화를
지금 확인하세요!
전체보기
안면윤곽
눈성형
코성형
리프팅/동안/쁘띠
체형
기타
회원 로그인하시면 전후사진을 확인하실 수 있습니다.
3개월
3개월
3개월
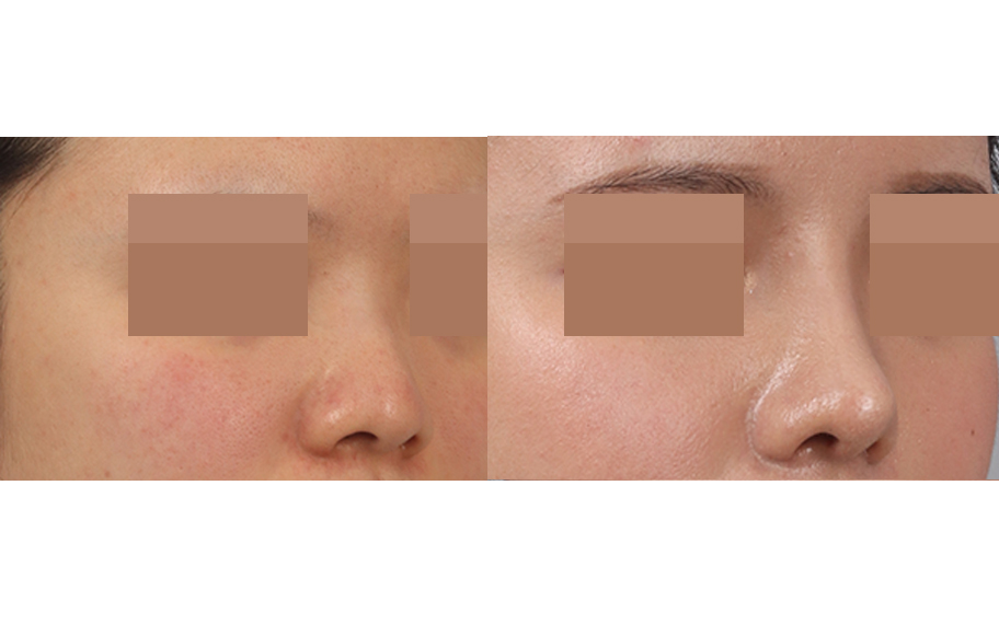
코(절골,비중격)(3개월)
맥스v(옆볼,이중턱)+심부볼(2주)
맥스V(옆볼,이중턱)+이중턱근육묶기+보톡스(턱밑샘)(1개월)
하안검(3주)
맥스v프리미엄(옆볼,이중턱,지방주입(rt볼))+이중턱근육...(1개월)
맥스v(옆볼,이중턱)+이중턱근육묶기+민트실+보톡스(턱밑샘)(1개월)
111
112
113
114
115
글제목
글내용
글쓴이
이름
상담부위
상담부위를 선택하세요.
안면윤곽
눈성형
코성형
리프팅/동안
가슴성형
체형성형
기타
연락처
010
011
016
017
018
019
개인정보 동의
[자세히 보기]
전화
카톡
성형수술 후 개인에 따라 출혈, 감염, 염증 등의 부작용이 있을 수 있으니 주의해야 합니다.